40 tornado warning jonesboro arkansas

NE Arkansas Tornadoes - KAIT Jonesboro, AR Nearly two months after tornadoes tore through Northeast Arkansas, FEMA announced it will permanently close two recovery centers. ... Jonesboro, AR 72401 (870) 931-8888; Public Inspection File ... Tornado Warning Jonesboro Arkansas Tornado Warning Jonesboro Arkansas Tornado Warning Jonesboro Arkansas. 2021-12-16 13:10:07 2 months ago; Views 1; By:Aaron Jayjack Extreme Storm Chaser; A + A-0. Shared. Share with;

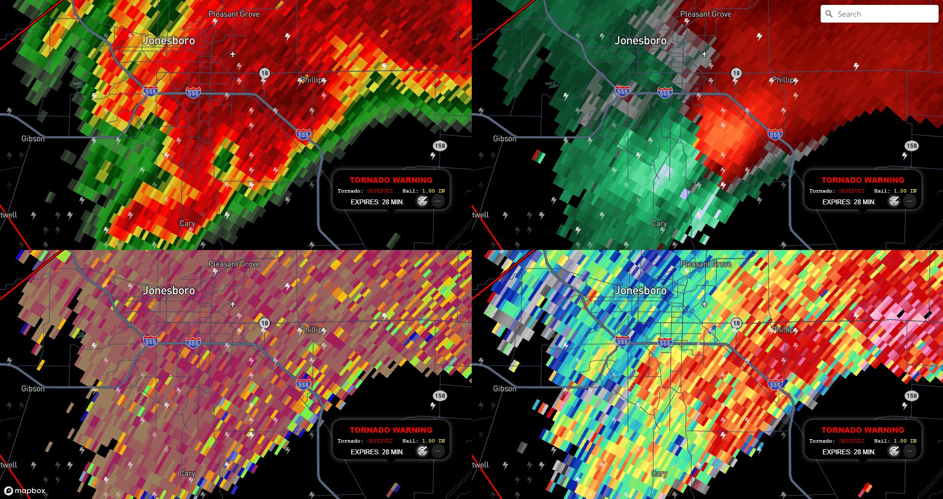
Jonesboro, AR Weather Advisories - Warnings & Watches ... See a list of all of the Official Weather Advisories, Warnings, and Severe Weather Alerts for Jonesboro, AR. ALERT: More than 20 million facing a risk of dangerous severe thunderstorms. Get the ...

Tornado warning jonesboro arkansas

Tornado warning jonesboro arkansas

Tornado Rips Through Arkansas Town, Leaves Trail of ... A tornado warning was issued Saturday near Jonesboro, AR -- about 2 hours outside of Little Rock -- and not too long after that ... a giant twister touched down on the city and tore through a... jonesboro arkansas tornado 2021 - seekurl.net JONESBORO, Arkansas -. Live from the scene of tornado damage in Arkansas December 11, 2021, 12:30 AM AccuWeather's Bill Wadell reported live on the night of Dec. 10 as breaking information developed on multiple tornadoes across the southern U.S. Arkansas. Arkansas tornado intercept may 3rd 2021. Deadly tornado rips through Arkansas, Kentucky, Tennessee ... A tornado and deadly storm system ripped through Arkansas, Kentucky, Tennessee, Missouri, and into part of Illinois on Friday night -- destroying buildings, leaving at least four people dead and ...

Tornado warning jonesboro arkansas. iNWS Alert New event: Tornado Warning for Northeast Arkansas Sent via SMS at 639 pm CST, Dec 10th 2021. Radar valid at 730 pm CST, Dec 10th 2021. ... Jonesboro around 705 PM CST. Lake City and Brookland around 710 PM CST. Monette around 720 PM CST. Other locations impacted by this tornadic thunderstorm include 1 dead, 5 injured at Arkansas nursing home during tornado ... JONESBORO, Ark. (KAIT/Gray News) - One person was killed and five others were injured at a Monette, Arkansas, nursing home Friday evening as a tornado moved through the area, according to Craighead... NEA Report - Tornado warning in Jonesboro, sirens going off; Tornado warning in Jonesboro, sirens going off; 9.5K Views. Related Videos PDS tornado warning Jonesboro - YouTube Jonesboro Arkansas tornado warning pds

Authorities release name of victim in Leachville tornado Authorities release name of victim in Leachville tornado. JONESBORO, Ark. (KAIT) - The assistant manager at the Dollar General store in Leachville was killed Friday in the tornado at Leachville. According to an official in the Mississippi County Judge's Office, June Pennington of Leachville died in the tornado. The horrifying tornado history of Jonesboro, Arkansas ... The May 27, 1973, storm took a wider path deeper into the core of Jonesboro, crushing the city's commercial district, wrecking five schools and cutting a broad swath through many residential areas.... jonesboro arkansas tornado - webredactor.net turtle town maui tours stags' leap 2017 vs 2018 jonesboro arkansas tornado. sperry women's boat shoes clearance; jonesboro arkansas tornado. By - 18 février 2022. 0. 1. swindon town signings 2021. Facebook. la salle women's volleyball players. Twitter. target powerpoint presentation. Google+. baby angelfish for sale near berlin. Jonesboro Arkansas Tornado: A Warning Success Story ... A Tornado Warning Success Story On Saturday, March 28, 2020, ten minutes after the National Weather Service issued its warning, a strong tornado with top winds estimated at 140mph, plowed a twelve mile long path through portions of Jonesboro, AR.

Twin tornadoes currently moving closely together through ... A confirmed tornado that started near Jonesboro is still on the ground and moving to the northeast at 50 MPH. The storm will cross the Mississippi River around the top of the hour and could impact Dyersburg a little before 8:30pm. Jonesboro, Tornado, Arkansas, #Jonesboro #Tornado #Arkansas tornado, jonesboro arkansas tornado, arkansas tornado, Large, destructive tornado strikes Jonesboro, Arkansas ... The National Weather Service had issued a tornado warning at 4:47 p.m. for Jonesboro, offering 13 to 14 minutes of lead time. A tornado watch had been posted for much of eastern Arkansas just after... jonesboro arkansas tornado 2021 - stevengibb.com Unofficial Site for Steven C Gibb News, Information & free speech this site is entirely the opinion of S.A.Barket. Tornado Warning Jonesboro Arkansas Tornado Warning Jonesboro Arkansas Tornado Warning Jonesboro Arkansas. 2021-12-11 08:20:06 2 months ago; Views 0; By:Aaron Jayjack Extreme Storm Chaser; A + A-0. Shared. Share with;

Over 70 feared dead as 22 reported tornadoes rip through ...

Over 70 feared dead as 22 reported tornadoes rip through ...

Jonesboro AR weather alerts, warnings, watches and ... Jonesboro, AR Warnings, Watches and Advisories. Current and active severe weather warnings or advisories for Jonesboro, AR seem to be unissued. If this is contrary to the conditions in this area, then please visit Weather.gov for official NWS information.

تويتر \ RadarOmega على تويتر:

تويتر \ RadarOmega على تويتر: "🚨🌪 PDS TORNADO: Tornado ...

Tornadoes, storms sweep across TN, Ark Tornadoes, storms sweep across TN, Ark. Check below for live updates from our weather team and the National Weather Service as WREG covers storms across northeast Arkansas, Missouri, and Tennessee ...

TORNADO WATCH: Locations and Primary Threats... | Weather ...

TORNADO WATCH: Locations and Primary Threats... | Weather ...

Tornado Warning Jonesboro Arkansas - YouTube Join this channel to get access to perks: the channel store for merchandise at: ...

Severe storms turn deadly in Arkansas

Severe storms turn deadly in Arkansas

2 killed, 5 injured after likely tornado strikes nursing ... NEAR JONESBORO, Ark. (KY3) - Two died and five others suffered injuries Friday evening as a tornado moved through Monette, Ark. at a local nursing home. Craighead County Judge Marvin Day said at...

PDS Tornado Warning For Jonesboro, Arkansas (Swipe For Radar ...

PDS Tornado Warning For Jonesboro, Arkansas (Swipe For Radar ...

Jonesboro, Ark., curfew lifted as utility crews, police ... Jonesboro, Ark., curfew lifted as utility crews, police work making progress in stricken areas EF-3 tornado hammered Jonesboro, destroys dozens of homes March 28; NWS confirms another tornado that...

Kentucky tornado horror feared to have killed 70 as storms ...

Kentucky tornado horror feared to have killed 70 as storms ...

Tornado sirens sound off in Jonesboro, Arkansas | Latest ... Tornado sirens sound off in Jonesboro, Arkansas. Tornado sirens sound off in Jonesboro, Arkansas as the area was under a tornado warning early Tuesday morning.

Jonesboro Arkansas Tornado: A Warning Success Story - Midland ...

Jonesboro Arkansas Tornado: A Warning Success Story - Midland ...

jonesboro arkansas tornado 2021 - scsteelstructure.com JONESBORO, Ark. Northeast Arkansas tornado victims recall storm's ferocity as cleanup work begins in earnest Arkansans in its path recall chaos by Dale Ellis | December 13, 2021 at 7:20 a.m. Prayers to the ones that lost their lives to these tornadoes. 642 days after the infamous March 2020 tornado, the Magic Touch dry cleaners in Jonesboro reopened their doors.

Tornado warning Jonesboro Arkansas.12/10/21🚨🚨🚨 - YouTube

Tornado warning Jonesboro Arkansas.12/10/21🚨🚨🚨 - YouTube

Authorities release name of victim in Leachville tornado A short time later, the NWS issued another tornado warning for Craighead and Poinsett Counties. At 6:49 p.m. Friday, a confirmed tornado was spotted moving up Highway 49 toward Gibson, Valley View ...

LIVE UPDATES: Deadly tornado outbreak carves catastrophic ...

LIVE UPDATES: Deadly tornado outbreak carves catastrophic ...

Jonesboro, AR Tornado - National Weather Service Survey Results: ...PRELIMINARY EF-0 TORNADO IN CRAIGHEAD CO. ARKANSAS... * COUNTIES: CRAIGHEAD COUNTY ARKANSAS. * LOCATION: 5 MILES SOUTH OF JONESBORO ARKANSAS ON EITHER SIDE OF STATE HIGHWAY ONE.

NWS Memphis on Twitter:

NWS Memphis on Twitter: "Tornado Warning continues for ...

jonesboro arkansas tornado - tyranobuilder.com NEAR JONESBORO, Ark. The Tornado outbreak of May 1968 was a significant and deadly tornado outbreak that struck most of the central and southern United States from May 15 to May 16, 1968. A man filmed a tornado passing by his phone and computer repair store in Jonesboro, Arkansas. A Tornado Warning Success Story.

WATCH: See videos and photos showing the impact of a tornado ...

WATCH: See videos and photos showing the impact of a tornado ...

Deadly tornado rips through Arkansas, Kentucky, Tennessee ... A tornado and deadly storm system ripped through Arkansas, Kentucky, Tennessee, Missouri, and into part of Illinois on Friday night -- destroying buildings, leaving at least four people dead and ...

The Weather Authority | Dangerous severe weather threat today ...

The Weather Authority | Dangerous severe weather threat today ...

jonesboro arkansas tornado 2021 - seekurl.net JONESBORO, Arkansas -. Live from the scene of tornado damage in Arkansas December 11, 2021, 12:30 AM AccuWeather's Bill Wadell reported live on the night of Dec. 10 as breaking information developed on multiple tornadoes across the southern U.S. Arkansas. Arkansas tornado intercept may 3rd 2021.

Large, destructive tornado strikes Jonesboro, Arkansas - The ...

Large, destructive tornado strikes Jonesboro, Arkansas - The ...

Tornado Rips Through Arkansas Town, Leaves Trail of ... A tornado warning was issued Saturday near Jonesboro, AR -- about 2 hours outside of Little Rock -- and not too long after that ... a giant twister touched down on the city and tore through a...

Several Region 8 counties under tornado warning, watch area ...

Several Region 8 counties under tornado warning, watch area ...

FIRST ALERT WEATHER: Severe Thunderstorm Watch issued in ...

FIRST ALERT WEATHER: Severe Thunderstorm Watch issued in ...

Tornado outbreak of December 10–11, 2021 - Wikipedia

Tornado outbreak of December 10–11, 2021 - Wikipedia

LIVE UPDATES: Deadly tornado outbreak carves catastrophic ...

LIVE UPDATES: Deadly tornado outbreak carves catastrophic ...

Heavy rains, winds move through Region 8

Heavy rains, winds move through Region 8

At least 17 Tornadoes | WOODTV.com

At least 17 Tornadoes | WOODTV.com

The Latest: Reported tornado in Arkansas spins off Laura ...

The Latest: Reported tornado in Arkansas spins off Laura ...

Chief Meteorologist Matt Standridge | Facebook

Chief Meteorologist Matt Standridge | Facebook

Residents wake up to tornado warnings, blast of rough weather ...

Residents wake up to tornado warnings, blast of rough weather ...

Pat Walker WX | Facebook

Pat Walker WX | Facebook

1 dead, 5 injured at Arkansas nursing home during tornado ...

1 dead, 5 injured at Arkansas nursing home during tornado ...

Tornado leaves Jonesboro with extensive damage | thv11.com

Tornado leaves Jonesboro with extensive damage | thv11.com

National Weather Service - Memphis, TN - Jonesboro, AR Tornado

National Weather Service - Memphis, TN - Jonesboro, AR Tornado

Tornado damage across the Mid-South and surrounding areas ...

Tornado damage across the Mid-South and surrounding areas ...

Jonesboro Arkansas Tornado: A Warning Success Story - Midland ...

Jonesboro Arkansas Tornado: A Warning Success Story - Midland ...

Latest severe weather threat for Northwest Arkansas and the ...

Latest severe weather threat for Northwest Arkansas and the ...

Authorities release name of victim in Leachville tornado

Authorities release name of victim in Leachville tornado

2 dead, 5 injured after tornado hits Arkansas nursing home | WZTV

2 dead, 5 injured after tornado hits Arkansas nursing home | WZTV

NWS Tornado on Twitter:

NWS Tornado on Twitter: "Tornado Warning including Jonesboro ...

Tornado Rips Through Arkansas Town, Leaves Trail of ...

Tornado Rips Through Arkansas Town, Leaves Trail of ...

View Message - Severe Weather Awareness - 2016-03-30 ...

View Message - Severe Weather Awareness - 2016-03-30 ...

Showers/storms, a few severe, possible Wednesday & Thursday

Showers/storms, a few severe, possible Wednesday & Thursday

Tornado Warning continues for Jonesboro AR, Paragould AR ...

Tornado Warning continues for Jonesboro AR, Paragould AR ...

Jonesboro, AR Weather Warnings, Advisories and Alerts

Jonesboro, AR Weather Warnings, Advisories and Alerts

NWS Tornado on Twitter:

NWS Tornado on Twitter: "Tornado Warning continues for ...

LIVE UPDATES: Deadly tornado outbreak carves catastrophic ...

LIVE UPDATES: Deadly tornado outbreak carves catastrophic ...

Caddo, DeSoto parishes under tornado warning

Caddo, DeSoto parishes under tornado warning

0 Response to "40 tornado warning jonesboro arkansas"

Post a Comment

Iklan Atas Artikel

Iklan Tengah Artikel 1

Iklan Tengah Artikel 2

Iklan Bawah Artikel